Zoom
3 keer gemerkt
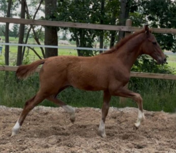
Schickes Hengstfohlen von Vitalis x Benicio x Quaterback
€ 2.500 tot € 5.000
€ 2.500 tot € 5.000
Advertenties ID: 4665946
Type advertentie: Paard te koop
Plaatsingsdatum: 04.11.2025
Reclameoproep: 172
Anonieme
Bericht
Ik ben geïnteresseerd – neem contact op
Om te onthouden
Beschrijving
Duits
- Poolse
- Italiaans
- Engels
- Nederlands
- Spaans
- Franse
- Duits
Schicker Typ, langbeinig, bewegungsstark, brav im Umgang Wird groß Er hat aktuell rechts einen Hufschuh, der Huf war etwas steiler und wir wollten kein Risiko eingehen! Es sind keine Spätfolgen zu erwarten! Deswegen geben wir ihn weit unter Wert ab! Videos vorhanden, kann jetzt abgesetzt werden Er ist vom Verband prämiert Vitalis x Benicio x Quaterback
Deze tekst werd automatisch vertaald.
Elegancki typ, długonogi, energiczny w ruchu, spokojny w obsłudze Będzie duży Obecnie na prawej nodze ma ochraniacz na kopyto, ponieważ kopyto było nieco strome i nie chcieliśmy ryzykować! Nie przewiduje się żadnych późnych powikłań! Dlatego sprzedajemy go znacznie poniżej ceny rynkowej! Dostępne filmy, można obejrzeć od razu Jest wyróżniony przez związek hodowców Vitalis x Benicio x Quaterback
Afstamming
VitalisVIVALDIVB.PR.ST. TOLIVIAKRACK CRENATE UTOPIAD.DAYVB.PR.ST. NALIVIA
BenicioQuaterback
Anonieme
Wij spreken:
Contact opnemen met aanbieder
* Deze velden moeten worden ingevuld
Bericht sturen
Anonieme
Wij spreken:
Bericht
Copyright 1999-2025 • ehorses GmbH & Co. KG • ehorses.nl – voor privé- en commercieel gebruik Paarden kopen en Paarden verkopen.
